본문 바로가기 메뉴 바로가기

아는것이 힘이다.

프로필사진
  • 글쓰기
  • 관리
  • 태그
  • 방명록
  • RSS

아는것이 힘이다.

검색하기 폼
  • 분류 전체보기 (1092)
    • 시사 (367)
    • 연예,방송 (197)
    • 부동산 정보 (126)
    • 다이어트 (28)
    • 생활정보 (280)
    • 반려동물 (14)
    • 꿈해몽 (52)
    • 스포츠 (3)
    • 게시판 (6)
    • 영화 (2)
    • 나는... (1)
  • 방명록

분류 전체보기 (1092)
2018년 서울세계불꽃축제

여의도에서 2018년 서울세계불꽃축제가 열릴 예정입니다.내일 6일 여의도 밤하늘을 수놓을 '한화와 함께하는 서울세계불꽃축제 2018(이하 한화서울세계불꽃축제)'을 연출하며 대한민국의 우수한 불꽃 기술력을 선보일 예정입니다. 그러나 기상 상황이 시시각각 변동되고 있고 관람객들의 안전을 최우선으로 고려해야 하는 바, '한화와 힘께하는 서울세계 불꽃축제 2018' 진행 여부 최종 결정 시점을 변경했으나 계속 폭우나 강풍이 불면 7일이나 9일로 연기가 될 가망성이 높습니다. 태풍으로 인해 행사가 취소되거나 연기될 경우 홈페이지를 통해 최대한 빠르게 결정사항을 안내 드릴 예정"이라고 말했습니다. 그러나 불꽃축제를 주최한 한화는 "폭우가 오거나 강풍이 불지 않는 이상 행사는 예정대로 진행될 예정"이라고 합니다. 서..

시사 2018. 10. 5. 15:58
오늘 올해 노벨평화상 수상자 후보는

올해의 노벨평화상 수상자 발표를 오늘 오후 6시에 발표될 예정입니다.그 가운데 문재인 대통령과 김정은 북한 국무위원장이 공동수상자로 거론이 되고 있습니다. 노벨평화상은 스웨덴 발명가인 노벨의 뜻에 따라 제정돼 1901년부터 총 98차례 시상이 이뤄졌는데요... 2000년에는 사상 첫 남북정상회담을 한 김대중 전 대통령이 받았고, 작년 수상자는 핵무기폐기국제운동(ICAO)이었습니다. 이번 노벨평화상은 4·27 남북정상회담과 6·12 북미정상회담을 계기로 문재인 대통령과 김정은 북한 국무위원장, 도널드 트럼프 미국 대통령의 수상 가능성이 제기되고 있습니다.미국 일간 유에스에이 투데이'는 베팅정보사이트 '오즈체커'를 인용해 문 대통령과 김 위원장을 노벨평화상 공동수상자로 점쳐지고 있다고 보도했습니다. 트럼프 ..

시사 2018. 10. 5. 13:22
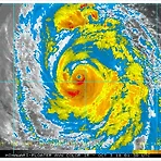
태풍 콩레이 제주도에

태풍 ‘콩레이’ 북상한다고 해요…제주와남해안에는 태풍 콩레이로 인해 최대 200mm의 비가 내린다고 하니 만반의 준비가 필요한 시점 입니다. 제25호 태풍 콩레이가 북상하면서 남부지방과 제주도에는 오늘(4일)부터 비가 내릴 전망이며... 태풍의 영향으로 오는 5일에서 7일 사이 전국에 강한 바람이 불 것으로 보인다고 합니다. 기상청에 따르면 4일은 동해상에 위치한 고기압의 영향을 받다 차차 그 가장자리에 들어 전국이 대체로 맑다 낮부터 구름이 많아지겠습니다. 한편 북상하는 제25호 태풍 ‘콩레이(KONG-REY)’의 북쪽 가장자리에 형성된 수렴대의 영향으로 남부지방과 제주도는 차차 흐려져 제주도는 오후부터, 남해안과 경북남부는 밤부터 비가 내리린다고 합니다. 강원영동과 경북북부동해안은 동풍의 영향으로 오..

시사 2018. 10. 4. 06:51
판빙빙 탈세혐의 4개월만에 직접 사과

"벌금 1436억 낼것, 깊이 반성"..판빙빙, 탈세혐의 4개월만 직접 사과실종되었다고 생각하고 나름 걱정되던 판빙빙이 모습을 드러냈군요탈세 혐의가 불거진 지 3개월 만에 SNS를 통해 직접 사과의 뜻을 전했습니다. 판빙빙은 3일 자신의 SNS 계정에 국가와 사회와 팬들을 실망시켰다며 사과문을 직접 올렸습니다. 그는 중국 당국의 세금과 벌금 부과 처분을 모두 받아들이고 납부하겠다는 뜻을 드러냈습니다. 판빙빙은 "최근 저는 그간 경험해보지 못한 괴로움과 고통의 시간을 겪었습니다. 깊이 반성했고 제가 한 모든 행위들에 깊은 죄책감과 부끄러움을 느끼고 있습니다. 여러분들에게 진심 어린 사과의 말씀을 전합니다.오랫동안 저는 국가의 이익과 사회의 이익, 그리고 개인의 이익에 대한 관계를 바르게 하지 못하고 영화 ..

연예,방송 2018. 10. 3. 18:18
탑항공, 경영환경 악화로 폐업 결정

탑항공, 경영환경 악화로 폐업 결정승승장구하던 탑항공이 36년만에 폐업하기로 결정했습니다. 탑항공에서는 "고객 한분 한분께 전화로 사과의 마음을 전하는 게 도리인데, 이렇게 공지로 대신함을 죄송스럽게 생각합니다" 라고 전했습니다. 항공권 도·소매를 전문으로 하던 여행사 탑항공이 경영난을 극복하지 못하고 36년 만에 폐업했습니다. 이 여행사는 항공권 판매 순위 20위권 여행사로 항공권이나 여행상품을 예약해둔 소비자들의 피해가 우려됩니다. 3일 한국여행업협회(KATA)에 따르면 탑항공은 지난 1일 폐업 신청을 했습니다. 탑항공도 홈페이지에 "대내외적 경영환경 악화에 따라 폐업하게 됐다"며 "피해를 본 고객은 영업보증보험을 통해 구제를 받을 수 있다"고 공지했습니다. 탑항공 폐업 소식이 알려지면서 탑항공에서 ..

시사 2018. 10. 3. 18:04
이전 1 ··· 185 186 187 188 189 190 191 ··· 219 다음
이전 다음
공지사항
최근에 올라온 글
최근에 달린 댓글
Total
Today
Yesterday
링크
  • 오스카
TAG
  • 부천지식산업센터
  • 구혜선
  • 지제역쌍용
  • 오목교역스카이하임
  • 지제역지식산업센터
  • 평택브레인시티
  • 김정은
  • 손흥민
  • 정유미
  • 베이킹소다
  • 방광염
  • 국민연금
  • 남북정상회담
  • 트럼프
  • 방탄소년단
  • 문재인
  • 현빈
  • 코로나바이러스
  • 똥꿈
  • 로또꿈
  • 평택지식산업센터
  • 평택삼성반도체
  • 목동지역주택조합
  • 토스
  • 영화기생충
  • 정상회담
  • 송정역서희스타힐스
  • 미스터트롯
  • 영통역자이프라시엘
  • 토트넘
more
«   2025/12   »
일 월 화 수 목 금 토
1 2 3 4 5 6
7 8 9 10 11 12 13
14 15 16 17 18 19 20
21 22 23 24 25 26 27
28 29 30 31
글 보관함

Blog is powered by Tistory / Designed by Tistory

티스토리툴바